230




















1 / 20
Gnesta, Lantligt
475 000 kr
Pris (eller högstbjudande)475 000 kr
Fakta om tomten
- Typ
- Tomt
- Tomtarea
- 3 142 kvm
Tillfälle att förvärva en, två eller tre tomter!
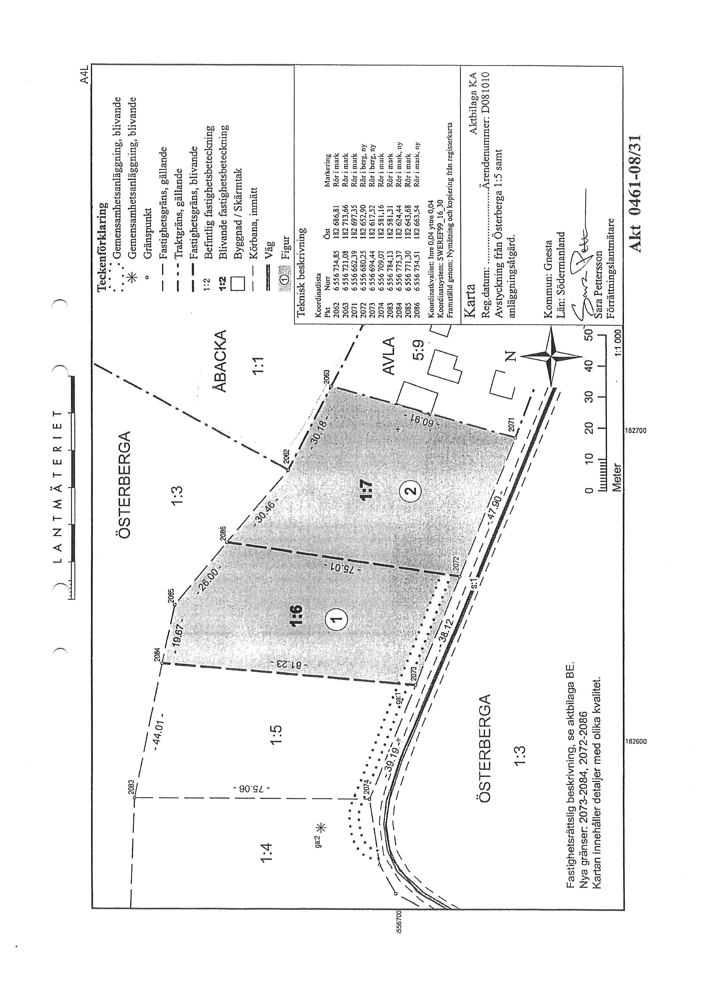
Här finns nu tillfälle att skapa ditt eget eller någon annans drömhem! Tre tomter finns till salu, Österberga 1:4, 1:5 och 1:6. Österberga 1:4 är 6233 kvm, 1:5 är 3142 kvm och 1:6 är 3164 kvm. Tomterna är vackert och högt belägna i rofylld omgivning med soligt läge. Fastigheterna ligger ca 10 minuter från Björnlunda och ca 30 minuter från Läggesta tågstation. Här finns fina möjligheter att endera köpa en av tomterna och bygga ditt drömboende eller varför inte göra en investering och förvärva alla tre?
Att pendla till Stockholm härifrån går alldeles utmärkt då det tar ca 35 respektive 60 minuter från Gnesta station till Stockholms central, beroende på om du åker pendeltåg eller regionaltåg. Från Läggesta till Stockholm central tar det ca 40 minuter. Här har du det perfekta tillfället att få lugnet på landet, men samtidigt ha tillgång till bra kommunikationer. Tomterna är råtomter, vilket innebär att köparen bekostar el, vatten och avlopp. Servitut och gemensamhetsanläggning för att anlägga väg finns, väg bekostas av köparen.
Nya taxeringsvärden för 2024 är:
Österberga 1:4; 679 000 kronor.
Österberga 1:5; 507 000 kronor.
Österberga 1:6; 508 000 kronor.
Varmt välkommen att ringa eller maila för mera information.
Att pendla till Stockholm härifrån går alldeles utmärkt då det tar ca 35 respektive 60 minuter från Gnesta station till Stockholms central, beroende på om du åker pendeltåg eller regionaltåg. Från Läggesta till Stockholm central tar det ca 40 minuter. Här har du det perfekta tillfället att få lugnet på landet, men samtidigt ha tillgång till bra kommunikationer. Tomterna är råtomter, vilket innebär att köparen bekostar el, vatten och avlopp. Servitut och gemensamhetsanläggning för att anlägga väg finns, väg bekostas av köparen.
Nya taxeringsvärden för 2024 är:
Österberga 1:4; 679 000 kronor.
Österberga 1:5; 507 000 kronor.
Österberga 1:6; 508 000 kronor.
Varmt välkommen att ringa eller maila för mera information.
Bilder




Bostadsinformation
Ansvarig mäklare
Karta
Gnesta
Gnesta, Lantligt
Värdera din bostad
Fyll i formuläret så kontaktar vi dig inom kort
Pris (eller högstbjudande)475 000 kr
Andra har också tittat på
1 / 0
